UWAGA Zmiana organizacji ruchu na ul. Śląskiej w Kłodzku.

Autor: 
inf. Starostwo Powiatowe
01.jpg
02.jpg

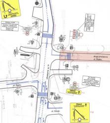
Uwaga kierowcy! Zmiana organizacji ruchu na ul. Śląskiej w Kłodzku. Od wtorku, 1 lipca 2025 r., od godz. 10:00 EUROVIA S.A. rozpoczyna realizację zadania pn. „Odbudowa drogi powiatowej nr 3145D” – to inwestycja prowadzona w związku ze skutkami powodzi z września 2024 r. Zamknięty zostanie odcinek ul. Śląskiej (od skrzyżowania z ul. Korfantego do skrzyżowania z ul. Lipową – kierunek Owcza Góra).
Objazd poprowadzony będzie przez Owczą Górę.
Zakaz wjazdu NIE dotyczy:
-Mieszkańców ul. Śląskiej
-Obsługi i klientów firm zlokalizowanych przy ul. Śląskiej
Prace potrwają do października 2025 r.
Dziękujemy za cierpliwość i wyrozumiałość – to inwestycja, która poprawi bezpieczeństwo i komfort podróżowania w Kłodzku.

Wydania: